解密萃雅品质之源:东方美肤智慧+法国顶尖科研机构+优选原料!
发布: 2018-10-20 11:55:58 作者: 佚名 来源: 无限极
当地时间10月17日至18日,“萃雅东方美绽放世界•2018法国之旅”开启了一场时尚与科研交流之旅。

此次法国之旅走进了“法国科学院-巴黎狄德罗大学-萃雅国际联合护肤研究中心”(下称“萃雅国际联合护肤研究中心”)以及有着“欧洲生命硅谷”之称的法国索菲亚科技园。接下来,就让小i带你一同从源头探秘萃雅产品的科研实力和高品质来源吧!
萃雅国际联合护肤研究中心
离体皮肤试验,验证中草药功效
法国科学院创立于1939年,是欧洲最大的基础研究机构、法国最高科研机构的代表。该院拥有1200多个科研机构,其绝大多数实验室都是和高校联合建立的。
巴黎狄德罗大学创立于1971年,是法国及欧洲顶级研究型学府,曾培养出2名诺贝尔奖得奖者、1位菲尔兹奖获得者,在健康保健、皮肤科学和化妆品相关领域颇具优势。

2016年底,无限极(中国)有限公司与法国科学院-巴黎狄德罗大学签约,联合成立萃雅国际联合护肤研究中心,分别于巴黎狄德罗大学和圣路易斯医院设立实验室,开展中草药多糖在皮肤免疫、保湿及延衰方面的技术研究。


将果蝇在显微镜下固定并染色
在巴黎狄德罗大学实验室内,科研人员正在专注地做实验。在显微镜下,通过荧光染色,可以清晰地看到试管内果蝇心脏的跳动幅度。


将果蝇分类浸泡在产品营养液中,并追踪每一只果蝇


科研人员全程跟踪每只果蝇的运动频率、心跳和寿命等,以此来验证中草药原材料的抗衰老功效。通过功效验证和机理测试的中草药活性成分,未来将被应用于萃雅产品的迭代升级。
巴黎狄德罗大学教授、萃雅国际联合护肤研究中心科学家Hervé Tricoire先生表示:“在抗皮肤老化的领域内尝试天然植物疗法是非常有意义的事情,在传统中医药中,人们对此已经有了上千年的知识与实验的积累,而且它们对于皮肤老化所带来的各种疾病的诊治来说潜力非常巨大。”


圣路易斯医院是世界上第一个教授皮肤学的医院,也是法国三大皮肤研究中心的领导者,其皮肤研究实力位于世界前列,与众多国际一线护肤品牌有深入合作。圣路易斯医院与无限极的合作,将进一步验证中草药多糖在皮肤免疫和保湿方面的功效。

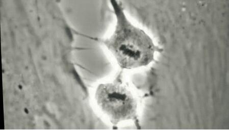
在圣路易斯医院实验室里,科研人员正聚精会神地观察共聚焦显微镜下的离体皮肤细胞的生长状态,并拍照记录。
在多种中草药成分真正用于产品配方之前,需对各成分在离体皮肤组织上进行功效与安全的测试。

为了确保实验的适用性和准确性,实验用的离体皮肤组织,细胞培养相关的操作都要在超净工作台进行。

共聚焦成像仪,可以将细胞的生长过程以及加活性成分后的组织或细胞动图表征进行多层次扫描处理,观察细胞及组织的变化情况。

流式细胞分析仪,用来筛选和分离细胞。


眼前的这些精密仪器,每台价值从几十万欧至几百万欧不等,为科学研究的准确、快速提供了强有力的保证。
“欧洲生命硅谷”
七道精密工序,提取高品质原料

除了从技术源头夯实自身实力,在原料提取方面,萃雅也是精益求精。
萃雅系列产品有十余款原料产于法国索菲亚科技园。法国索菲亚科技园坐落于风光绝美的尼斯,是全球领先的香水及化妆品资源中心,聚集了法国逾300家美容界企业,有“欧洲生命硅谷”之称。

长期为萃雅提供高品质原料的,是亚什兰集团公司(Ashland)在法国索菲亚科技园的生产中心。这家成立于1924年的公司,以研发、高科技和高质量闻名于业界,为全球美容护理行业众多一线品牌提供创新的产品、服务和解决方案。

在亚什兰研发中心,每一种护肤品原料均通过“提取-分析-毒理学分析-生化测试-3D皮肤测试-临床测试-应用配方研究”七大步骤验证。
步骤1:提取


提取纯天然植物成分,比如萃雅密集修护精华中的抗敏成分就来自稻米里的“水解米蛋白”。相较于传统提取技术,亚什兰拥有一项独特创新植物提取技术专利,能更有效地保留所提取成分的生化活性。
步骤2:分析


分析蛋白质、多肽、氨基酸和糖的纯度,将重金属等杂质除掉,保证每一批原材料品质的一致性。
步骤3:毒理学测试(也称安全性测试)

为了对使用者负责,所有的成分均根据人体皮肤特性进行安全及无毒测试。
步骤:4:生化测试

在人体皮肤离体细胞和组织切片上测试提取成分的功效性能,精准测试靶向物(例如DNA)的完整性。
步骤5:3D皮肤测试

从人体皮肤提取干细胞培养,模拟人的表皮、基底膜和真皮结构重组,用来测试提取物的安全性和功效。
步骤6:临床测试

2017“东方美•新风尚”寻找美丽代言人大赛冠军蒋佳琰体验临床测试
完成以上步骤的成分,将在真人皮肤上测试对皱纹的反应。临床测试可是非常“严苛”的,测试者必须在同一角度,同一位置测试皮肤变化情况,测试周期长达8周!

这台皮肤深层测试仪器就更不简单了,能精准地测试到各类成分在皮肤细胞和胞间组织的实时变化,价值超过100万欧元。
步骤7:应用配方研究

通过临床测试的成分,以什么样的比例组合才能达到最佳效果?最后一步的应用配方研究,测试的就是成分(即活性物)在产品(即半成品)配方里的效果。

七大步骤,确保了原料成分的安全性和有效性。萃雅的密集修护精华与菁颜无痕系列的主要功效原料——抗敏成分和抗衰成分便是经过以上七道精密工序研制而成。
与萃雅合作多年的亚什兰亚太区技术经理凌先生表示:“萃雅在研发方面始终保持着非常严谨的态度,这在国内化妆品企业当中是少有的。萃雅有非常详实的研究数据积累,并与顶尖的第三方科研机构和企业保持非常紧密的合作,我非常看好萃雅的未来。”


无论是主动出击,与国际顶尖科研机构开展合作,还是携手优质原料供应方,都是萃雅出于对高品质的追求。
见证了萃雅产品的科研实力和高品质原料后,一场由萃雅举办的“东西方美学智慧沙龙”在巴黎的新华影廊拉开帷幕。现场,中法美妆界与时尚界人士将就东西方美学与世界护肤美妆趋势展开探讨,法国科研专家将分享中草药抗衰功效的阶段性研究成果,“萃雅2019东方妆”也将在现场隆重首发。这场东西方时尚领域在美学层面的创意性交流到底有多惊艳?明日“无限极微刊”为你详细报道!
今日新闻头条
我也说两句
已有评论 0 条 查看全部回复








